
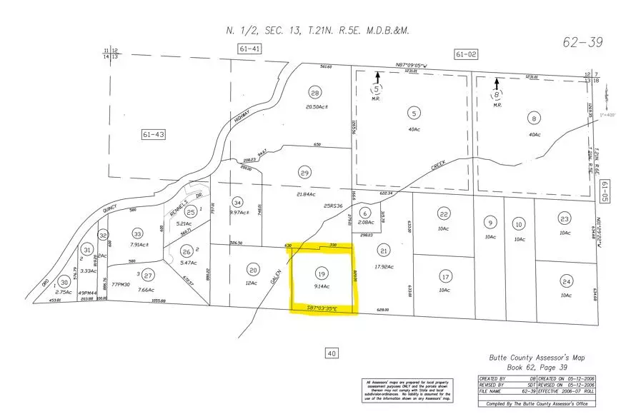
9.14 Acres Lot
9.14 Acres Lot
Key Details
Property Type Vacant Land
Sub Type Residential Acreage
Listing Status Active
Purchase Type For Sale
MLS Listing ID 225144688
HOA Y/N No
Lot Size 9.140 Acres
Acres 9.14
Property Sub-Type Residential Acreage
Source MLS Metrolist
Property Description
Location
State CA
County Butte
Area 12541
Zoning U
Direction From Oroville Quincy Hwy, exit Rennells Rd and access via ATV from here.
Exterior
Fence None
Utilities Available None
Water Access Desc Stream Year Round,No Well But Needed
View Pasture, Garden/Greenbelt, Mountains, Other
Topography Level
Road Frontage Easement
Building
Lot Description Secluded, Stream Year Round
Sewer Septic Needed
Water Stream Year Round, No Well But Needed
Schools
Elementary Schools Pioneer Union
Middle Schools Pioneer Union
High Schools Oroville Union
School District Butte
Others
Senior Community No
Tax ID 062390019000
Special Listing Condition None

GET MORE INFORMATION

REALTOR® | Lic# 1493778






